Showbiz Shelly

Showbiz Shelly

Listen to Showbiz Shelly on your radio and the free iHeartRadio app every weekday!Full Bio

 

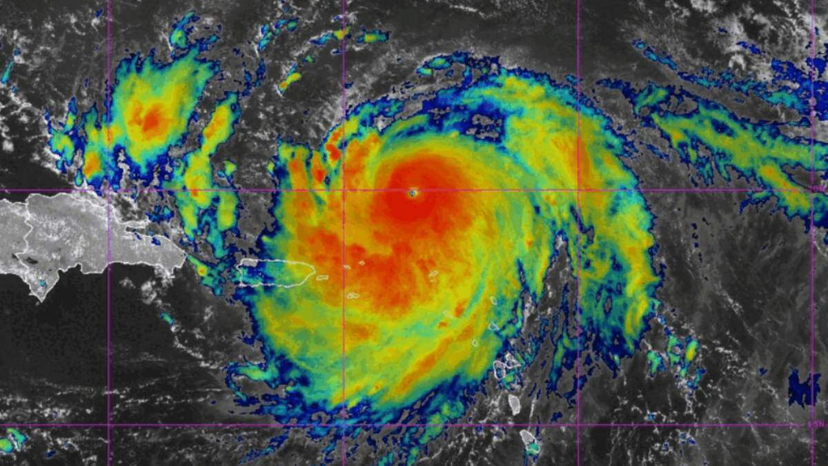
Here Are Ways to Prepare For Hurricane Erin

Hurricane Erin is heading our way and we could see the impacts Wednesday-Friday this week.

With the worst of the weather impacts from Hurricane Erin set to hit the Virginia Beach coast by Wednesday and continue through early Friday, the city is making storm preps and calling for residents to be ready, also.

Parking

The city will be providing people looking to move their cars to higher ground with multiple options in four Town Center garages. Those options will be available starting Wednesday afternoon through Friday, but the city asks residents to avoid parking in reserved spots at the Town Center garages, since those are leased by residents, and towing will be enforced. The city also notes that if garages lose power, lighting and elevators will not work.

The Town Center garages include:

  • Maroon Garage (Apex Entertainment VB) 
  • Red Garage (Westin Hotel) 
  • Green Garage (Armada Hoffler Tower) 
  • Orange Garage (Clark Nexsen Tower)

The city said residents should take the following steps to prepare for any impacts from Hurricane Erin. Its advices includes:

  • Clearing any obvious blockages from around storm drains and ditches in your area. Do not block storm drains with yard debris bags or any other objects. 
  • Removing and secure objects outside your home and business that may become projectiles during high winds, like lawn furniture and potted plants.  
  • Signing up for VBAlert to get emergency alerts from the City of Virginia Beach via text message and/or email. 
  • Downloading and sharing the Hurricane and Coastal Storm Preparedness flyer
  • Having a family emergency plan in place. Plan and practice evacuation routes from home, work and school that are on higher ground. 
  • Visiting VirginiaBeach.gov/ReadyVB for a list of supplies to have on hand, including drinking water, a first-aid kit, non-perishable food, a radio, flashlight and batteries, phone charger and blankets. 
  • Listening to NOAA Weather Radio and monitor local news for severe weather updates and directions provided by local officials. 

Stay safe and get more HERE!


Sponsored Content

Sponsored Content